HOME-Au
HOME-Au
24h
24h
USA
USA
GOP
GOP
Phim Bộ
Phim Bộ
Videoauto
VIDEO-Au
Home Classic
Home Classic
Donation
Donation
News Book
News Book
News 50
News 50
worldautoscroll
WORLD-Au
Breaking
Breaking
 

Go Back   VietBF > World Box| Thế Giới > World News|Tin Thế Giới


Reply
 
Thread Tools
  #1  
Old  Default Ragasa trở thành siêu bão mạnh nhất thế giới từ đầu năm
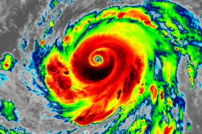
Khi siêu bão Ragasa đổ bộ vào Philippines với sức gió 270 km/h, nó đã trở thành cơn bão mạnh nhất địa cầu từ đầu năm.

Mạng lưới Thời tiết (TWN), tổ chức phân tích khí tượng tại Canada, cho biết siêu bão Ragasa đạt sức gió 270 km/h và duy trì ở mức này trong thời gian ngắn khi đổ bộ vào quần đảo Babuyan ở phía bắc Philippines hôm 22/9.

Sức gió này khiến nó vượt lên hai siêu bão khác trong năm nay là Erin ở phía bắc Đại Tây Dương vào tháng 8 và Errol ở phía đông Ấn Độ Dương vào giữa tháng 4, trở thành cơn bão mạnh nhất thế giới tính từ đầu năm.

Theo định nghĩa của Trung tâm Bão Quốc gia Mỹ, bão đạt sức gió từ 252 km/h trở lên được phân loại vào Cấp 5 trên thang đo 5 cấp độ bão Saffir-Simpson.

Bão ở cấp độ này có khả năng gây hủy diệt gần như toàn bộ các công trình khi quét qua, quật ngã cây cối, cột điện và khiến khu vực ảnh hưởng rơi vào tình trạng mất điện, nước kéo dài.

Hiện chưa có thống kê đầy đủ về thương vong và thiệt hại do Ragasa gây ra ở Philippines, nhưng dữ liệu sơ bộ cho thấy một người thiệt mạng và một số người bị thương do sạt lở đất ở miền bắc nước này khi bão quét qua.


Bão Ragasa trước khi đổ bộ Philippines ngày 22/9. Ảnh: TWN

Mùa bão năm nay chứng kiến nhiều trận bão đạt ngưỡng nguy hiểm. Ngoài Ragasa, bão Erin và Errol đều đạt sức gió 260 km/h ở thời điểm mạnh nhất.

Hai cơn bão Cấp 4 gồm Vince trên Ấn Độ Dương vào tháng 2 và Neoguri đang hình thành trên Thái Bình Dương đạt sức gió lần lượt là 250 và 235 km/h. Số lượng bão mạnh xuất hiện dồn dập cho thấy mức độ hoạt động bất thường của mùa mưa bão năm nay.

Các nhà khí tượng nhận định sự gia tăng sức mạnh bất thường của Ragasa bắt nguồn từ nhiệt độ mặt biển và độ ẩm khí quyển đều cao. Bão gần như không xuất hiện hiện tượng "đứt gió", tức thay đổi tốc độ hoặc hướng gió trong một khoảng cách ngắn, nên sức mạnh ở lõi bão gia tăng liên tục. Những yếu tố này là điều kiện lý tưởng để bão mạnh lên nhanh chóng, theo TWN.

Trung tâm Cảnh báo Bão Liên hợp (JTWC) của không quân và hải quân Mỹ đánh giá Ragasa đã phần nào suy yếu sau khi quét qua Philippines, song vẫn duy trì sức gió 230 km/h. Bão đang hướng đến khu vực đông nam Trung Quốc, khiến chính quyền các địa phương ở đây báo động về "mối đe dọa nghiêm trọng".

Chính phủ Trung Quốc đã ban hành tình trạng khẩn cấp tại nhiều thành phố ở tỉnh Quảng Đông. Hàng loạt trường học, cơ sở sản xuất và hoạt động thương mại bị tạm dừng. Hệ thống giao thông công cộng, tàu phà và đường sắt ngưng hoạt động để phòng tránh thiệt hại.

Thành phố Thâm Quyến thông báo chuẩn bị sơ tán 400.000 cư dân khỏi các vùng ven biển và thấp trũng. Quảng Châu, nơi sinh sống của hơn 18 triệu người, có khả năng phát cảnh báo đỏ, mức cao nhất trong thang báo động bão.

Giới chức Hong Kong cảnh báo Ragasa có thể gây ra thiệt hại tương đương hai siêu bão Hato năm 2017 và Mangkhut năm 2018, vốn từng gây tổn thất hàng trăm triệu USD. Tại Macau, toàn bộ trường học cũng được lệnh đóng cửa trong hai ngày.

Theo dự báo, từ ngày 23 đến 26/9, miền nam Trung Quốc sẽ hứng chịu mưa lớn và gió mạnh, trong đó nhiều khu vực thuộc đồng bằng Châu Giang và ven biển Quảng Đông có thể ghi nhận lượng mưa đặc biệt lớn. Toàn bộ tàu hỏa cao tốc và tàu thường tại Quảng Đông sẽ ngừng chạy trong ngày 24/9, chỉ được khôi phục dần từ sáng 25/9 khi bão suy yếu.

Theo Trung tâm Dự báo Khí tượng Thủy văn quốc gia Việt Nam, đến 4h ngày 25/9, bão trên đất liền nam tỉnh Quảng Châu, sức gió mạnh nhất cấp 12, giật 15, di chuyển theo hướng tây tây bắc với tốc độ 20-25 km/h. Bão sau đó suy yếu nhanh thành áp thấp nhiệt đới, đến 4h ngày 26/9 thì ở trên đất liền Bắc Bộ, sức gió giảm còn cấp 6, giật cấp 8.

VietBF@sưu tập
VIETBF Diễn Đàn Hay Nhất Của Người Việt Nam

HOT NEWS 24h

HOT 3 Days

NEWS 3 Days

HOT 7 Days

NEWS 7 Days

HOME

Breaking News

VietOversea

World News

Business News

Car News

Computer News

Game News

USA News

Mobile News

Music News

Movies News

History

Thơ Ca

Sport News

Stranger Stories

Comedy Stories

Cooking Chat

Nice Pictures

Fashion

School

Travelling

Funny Videos

Canada Tin Hay

USA Tin Hay

10.000 Tin mới nhất

Tin nóng nhất 24h qua

Super News

Tin tức Hoa Kỳ


troopy
R10 Vô Địch Thiên Hạ
Release: 2 Weeks Ago
Reputation: 227069


Profile:
Join Date: Oct 2014
Posts: 88,048
Last Update: None Rating: None
Attached Thumbnails
Click image for larger version

Name:	37.png
Views:	0
Size:	818.8 KB
ID:	2574732  
troopy_is_offline
Thanks: 75
Thanked 6,471 Times in 5,607 Posts
Mentioned: 5 Post(s)
Tagged: 0 Thread(s)
Quoted: 34 Post(s)
Rep Power: 110
troopy Reputation Uy Tín Level 10troopy Reputation Uy Tín Level 10troopy Reputation Uy Tín Level 10troopy Reputation Uy Tín Level 10troopy Reputation Uy Tín Level 10troopy Reputation Uy Tín Level 10
troopy Reputation Uy Tín Level 10troopy Reputation Uy Tín Level 10troopy Reputation Uy Tín Level 10troopy Reputation Uy Tín Level 10troopy Reputation Uy Tín Level 10troopy Reputation Uy Tín Level 10troopy Reputation Uy Tín Level 10troopy Reputation Uy Tín Level 10troopy Reputation Uy Tín Level 10troopy Reputation Uy Tín Level 10troopy Reputation Uy Tín Level 10troopy Reputation Uy Tín Level 10troopy Reputation Uy Tín Level 10troopy Reputation Uy Tín Level 10troopy Reputation Uy Tín Level 10troopy Reputation Uy Tín Level 10troopy Reputation Uy Tín Level 10troopy Reputation Uy Tín Level 10troopy Reputation Uy Tín Level 10troopy Reputation Uy Tín Level 10troopy Reputation Uy Tín Level 10troopy Reputation Uy Tín Level 10
Reply

User Tag List



 
Lên đầu Xuống dưới Lên 3000px Xuống 3000px

VietBF Homepage Autoscroll

VietBF Video Autoscroll Portal

USA News Autoscroll Portall

VietBF WORLD Autoscroll Portal

Home Classic

Super Widescreen

Tin nóng nhất 24h qua

Tin nóng nhất 3 ngày qua

Tin nóng nhất 7 ngày qua

Tin nóng nhất 30 ngày qua

Albums

Total Videos Online
Lên đầu Xuống dưới Lên 3000px Xuống 3000px

Tranh luận sôi nổi nhất 7 ngày qua

Tranh luận sôi nổi nhất 14 ngày qua

Tranh luận sôi nổi nhất 30 ngày qua

10.000 Tin mới nhất

Tin tức Hoa Kỳ

Tin tức Công nghệ
Lên đầu Xuống dưới Lên 3000px Xuống 3000px

Super News

School Cooking Traveling Portal

Enter Portal

Series Shows and Movies Online

Home Classic Master Page

Donation Ủng hộ $3 cho VietBF
Lên đầu Xuống dưới Lên 3000px Xuống 3000px
Diễn Đàn Người Việt Hải Ngoại. Tự do ngôn luận, an toàn và uy tín. Vì một tương lai tươi đẹp cho các thế hệ Việt Nam hãy ghé thăm chúng tôi, hãy tâm sự với chúng tôi mỗi ngày, mỗi giờ và mỗi giây phút có thể. VietBF.Com Xin cám ơn các bạn, chúc tất cả các bạn vui vẻ và gặp nhiều may mắn.
Welcome to Vietnamese American Community, Vietnamese European, Canadian, Australian Forum, Vietnamese Overseas Forum. Freedom of speech, safety and prestige. For a beautiful future for Vietnamese generations, please visit us, talk to us every day, every hour and every moment possible. VietBF.Com Thank you all and good luck.

Lên đầu Xuống dưới Lên 3000px Xuống 3000px

All times are GMT. The time now is 04:31.
VietBF - Vietnamese Best Forum Copyright ©2005 - 2025
User Alert System provided by Advanced User Tagging (Pro) - vBulletin Mods & Addons Copyright © 2025 DragonByte Technologies Ltd.
Log Out Unregistered

Page generated in 0.11906 seconds with 13 queries