HOME-Au
HOME-Au
24h
24h
USA
USA
GOP
GOP
Phim Bộ
Phim Bộ
Videoauto
VIDEO-Au
Home Classic
Home Classic
Donation
Donation
News Book
News Book
News 50
News 50
worldautoscroll
WORLD-Au
Breaking
Breaking
 

Go Back   VietBF > World Box| Thế Giới > World News|Tin Thế Giới > World News |Tin Thế Giới 2021-2023


 
 
Thread Tools
  #1  
Old  Default Bão lớn Ian đổ bộ Florida
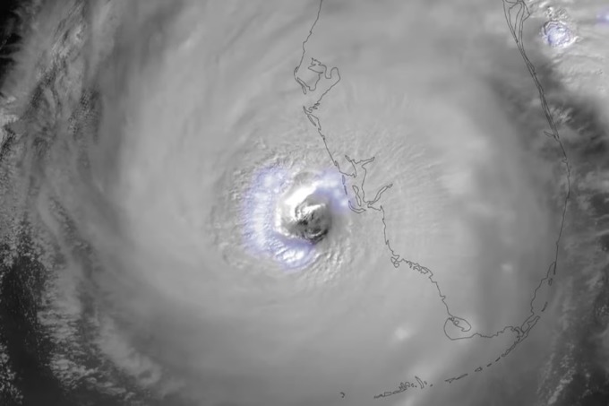
Ian, cơn bão đạt cấp 4 trong thang 5 cấp của Mỹ, đổ bộ tây nam bang Florida mang theo triều cường, gió lớn và lũ lụt.

Trung tâm Bão Quốc gia Mỹ (NHC) mắt bão Ian đổ bộ lúc 15h ngày 28/9 (4h ngày 29/9 giờ Hà Nội) vào đảo Cayo Costa, phía tây thành phố Fort Myers ở bang Florida, với sức gió duy trì tối đa ở mức 240 km/h, khiến nó được xếp vào cấp 4 trong thang cảnh báo 5 cấp của Mỹ.


Thuyền buồm neo ngả nghiêng vì gió mạnh do bão Ian tại Venice, Florida, ngày 28/9. Ảnh: AFP

Thống đốc Florida Ron Desantis cho hay bão mang theo gió lớn, mưa lớn và triều cường lịch sử "vùi dập khu vực Florida", thêm rằng hơn 1,1 triệu trường hợp mất điện được ghi nhận toàn bang và con số này dự kiến tăng lên.

Hình ảnh trên truyền hình cho thấy triều cường dâng cao khiến nước lũ tràn vào nhà dân ven biển, nhấn chìm đường sá, cuốn trôi phương tiện ở thành phố ven biển Naples. Một số khu vực lân cận Fort Myers, nơi có dân số hơn 80.000 người, giống như hồ nước.


Zuram Rodrigue, một người dân ở Davie, Florida, xem xét thiệt hại quanh nhà ngày 28/9. Ảnh: AP

Thống đốc DeSantis cho hay bang Florida dự kiến trải qua "hai ngày vô cùng tồi tệ". Ở Punta Gorda, phía bắc Fort Myers, đường phố vắng người khi những con gió xé toạc cây cọ, làm lung lay cột điện.

Khoảng 2,5 triệu người phải sơ tán bắt buộc ở các hạt ven biển Florida, hàng chục nơi trú ẩn cũng được thiết lập. Giới chức khuyến cáo những người không kịp sơ tán nên ở trong nhà. Các sân bay ở Tampa và Orlando ngừng mọi chuyến bay thương mại, những công ty du lịch tàu biển đã hoãn khởi hành hoặc hủy chuyến.

Giới chức cảnh báo tình trạng khẩn cấp khi lượng mưa dự kiến lên tới 610 mm rơi xuống một số khu vực ở Florida, triều cường có thể cao từ 3,6-5,5 m. "Đây là tình huống nguy hiểm đe dọa tính mạng", NHC cảnh báo.

Lầu Năm Góc cho hay đã triển khai 3.200 binh sĩ Vệ binh Quốc gia và gần 1.800 người đang trên đường tới Florida. Thống đốc DeSantis cho hay cơ quan ứng phó của bang và liên bang đã huy động hàng nghìn người ứng phó cơn bão. "Sẽ có hàng nghìn người dân Florida cần giúp đỡ xây dựng lại nhà cửa", ông nói.


Sấm sét xung quanh mắt bão Ian khi cơn bão tiến vào Florida ngày 28/9. Ảnh: AFP

Ian có thể tác động tới hàng triệu người khắp Florida và các bang Georgia, Nam Carolina ở phía đông nam. "Đây sẽ là cơn bão mà chúng ta sẽ nhắc đến trong nhiều năm nữa. Cơn bão là sự kiện mang tính lịch sử", giám đốc cơ quan thời tiết quốc gia Ken Graham nói.

Một ngày trước, bão Ian gây mất điện diện rộng ở Cuba khi tấn công miền tây đất nước. Ít nhất hai người chết ở tỉnh Pinar del Rio, theo truyền thông nhà nước Cuba. Lực lượng Biên phòng Mỹ cho hay 20 người di cư mất tích vì chìm tàu, trong đó 4 người Cuba bơi được vào bờ ở quần đảo Florida Keys, còn ba người được giải cứu trên biển.

VietBF©sưu tập
VIETBF Diễn Đàn Hay Nhất Của Người Việt Nam

HOT NEWS 24h

HOT 3 Days

NEWS 3 Days

HOT 7 Days

NEWS 7 Days

HOME

Breaking News

VietOversea

World News

Business News

Car News

Computer News

Game News

USA News

Mobile News

Music News

Movies News

History

Thơ Ca

Sport News

Stranger Stories

Comedy Stories

Cooking Chat

Nice Pictures

Fashion

School

Travelling

Funny Videos

Canada Tin Hay

USA Tin Hay

10.000 Tin mới nhất

Tin nóng nhất 24h qua

Super News

Tin tức Hoa Kỳ


goodidea
R10 Vô Địch Thiên Hạ
Release: 09-29-2022
Reputation: 207561


Profile:
Join Date: Mar 2020
Posts: 56,227
Last Update: None Rating: None
Attached Thumbnails
Click image for larger version

Name:	49.jpg
Views:	0
Size:	45.1 KB
ID:	2117892   Click image for larger version

Name:	49.2.jpg
Views:	0
Size:	114.6 KB
ID:	2117893   Click image for larger version

Name:	49.3.jpg
Views:	0
Size:	43.2 KB
ID:	2117894  

goodidea_is_offline
Thanks: 68
Thanked 3,292 Times in 2,831 Posts
Mentioned: 0 Post(s)
Tagged: 0 Thread(s)
Quoted: 34 Post(s)
Rep Power: 72
goodidea Reputation Uy Tín Level 10goodidea Reputation Uy Tín Level 10goodidea Reputation Uy Tín Level 10goodidea Reputation Uy Tín Level 10
goodidea Reputation Uy Tín Level 10goodidea Reputation Uy Tín Level 10goodidea Reputation Uy Tín Level 10goodidea Reputation Uy Tín Level 10goodidea Reputation Uy Tín Level 10goodidea Reputation Uy Tín Level 10goodidea Reputation Uy Tín Level 10goodidea Reputation Uy Tín Level 10goodidea Reputation Uy Tín Level 10goodidea Reputation Uy Tín Level 10goodidea Reputation Uy Tín Level 10goodidea Reputation Uy Tín Level 10goodidea Reputation Uy Tín Level 10goodidea Reputation Uy Tín Level 10goodidea Reputation Uy Tín Level 10goodidea Reputation Uy Tín Level 10goodidea Reputation Uy Tín Level 10goodidea Reputation Uy Tín Level 10goodidea Reputation Uy Tín Level 10goodidea Reputation Uy Tín Level 10goodidea Reputation Uy Tín Level 10goodidea Reputation Uy Tín Level 10
 
User Tag List



 
Lên đầu Xuống dưới Lên 3000px Xuống 3000px

VietBF Homepage Autoscroll

VietBF Video Autoscroll Portal

USA News Autoscroll Portall

VietBF WORLD Autoscroll Portal

Home Classic

Super Widescreen

Tin nóng nhất 24h qua

Tin nóng nhất 3 ngày qua

Tin nóng nhất 7 ngày qua

Tin nóng nhất 30 ngày qua

Albums

Total Videos Online
Lên đầu Xuống dưới Lên 3000px Xuống 3000px

Tranh luận sôi nổi nhất 7 ngày qua

Tranh luận sôi nổi nhất 14 ngày qua

Tranh luận sôi nổi nhất 30 ngày qua

10.000 Tin mới nhất

Tin tức Hoa Kỳ

Tin tức Công nghệ
Lên đầu Xuống dưới Lên 3000px Xuống 3000px

Super News

School Cooking Traveling Portal

Enter Portal

Series Shows and Movies Online

SERIES ONLINE 1

Donation Ủng hộ $3 cho VietBF
Lên đầu Xuống dưới Lên 3000px Xuống 3000px
Diễn Đàn Người Việt Hải Ngoại. Tự do ngôn luận, an toàn và uy tín. Vì một tương lai tươi đẹp cho các thế hệ Việt Nam hãy ghé thăm chúng tôi, hãy tâm sự với chúng tôi mỗi ngày, mỗi giờ và mỗi giây phút có thể. VietBF.Com Xin cám ơn các bạn, chúc tất cả các bạn vui vẻ và gặp nhiều may mắn.
Welcome to Vietnamese American Community, Vietnamese European, Canadian, Australian Forum, Vietnamese Overseas Forum. Freedom of speech, safety and prestige. For a beautiful future for Vietnamese generations, please visit us, talk to us every day, every hour and every moment possible. VietBF.Com Thank you all and good luck.

Lên đầu Xuống dưới Lên 3000px Xuống 3000px

All times are GMT. The time now is 00:13.
VietBF - Vietnamese Best Forum Copyright ©2005 - 2025
User Alert System provided by Advanced User Tagging (Pro) - vBulletin Mods & Addons Copyright © 2025 DragonByte Technologies Ltd.
Log Out Unregistered

Page generated in 0.10676 seconds with 13 queries