HOME-Au
HOME-Au
24h
24h
USA
USA
GOP
GOP
Phim Bộ
Phim Bộ
Videoauto
VIDEO-Au
Home Classic
Home Classic
Donation
Donation
News Book
News Book
News 50
News 50
worldautoscroll
WORLD-Au
Breaking
Breaking
 

Go Back   VietBF > World Box| Thế Giới > World News|Tin Thế Giới > World News |Tin Thế Giới 2021-2023


 
 
Thread Tools
  #1  
Old  Default Đã xác định được vị trí chính xác của máy bay MH370?
Theo như sự kiện máy bay MH370 bị mất tích vào ngày 8/3/2014, khi đang trên đường bay từ Kuala Lumpur (Malaysia) đến Bắc Kinh (Trung Quốc), với 239 người trên máy bay, khiến một kỹ sư hàng không người Anh tuyên bố đã xác định được tọa độ chính xác của máy bay MH370 gặp nạn và rơi xuống Ấn Độ Dương năm 2014.

Dựa trên phần mềm Phát hiện và theo dõi mọi máy bay ở bất kỳ nơi nào trên toàn cầu (GDTAAA) và dữ liệu từ hệ thống truyền tín hiệu yếu (WSPR), kỹ sư hàng không người Anh Richard Godfrey tuyên bố đã phát hiện chính xác vị trí của máy bay MH370.

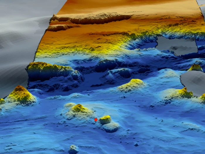
Theo ông Richard Godfrey, máy bay MH370 rơi xuống biển ở vị trí cách TP Perth (Australia) khoảng 1.933km về phía tây, ở tọa độ "33.177°S (nam) 95.300°E (đông)". MH370 được cho là đang nằm ở độ sâu 4.000 mét ở đáy biển.



MH370 được cho là đang nằm ở độ sâu 4.000 mét ở đáy biển, cách TP Perth (Australia) khoảng 1.933km về phía tây.

"Vị trí máy bay rơi nằm ở chân Broken Ridge (cao nguyên đại dương ở đông nam Ấn Độ Dương), trong một khu vực có địa hình hiểm trở. Có các mỏm núi và vách đá, một ngọn núi lửa ngầm và một hẻm núi" - ông Richard Godfrey cho biết trong báo cáo đăng trên trang mh370search.com ngày 30/11.

Kỹ sư hàng không người Anh dự đoán nghiên cứu của ông sẽ giúp tìm thấy máy bay MH370 vào năm 2022.

Kỹ sư hàng không người Anh Richard Godfrey.

Ông Godfrey cho rằng, sự kiện máy bay MH370 bị mất tích vào ngày 8/3/2014, khi đang trên đường bay từ Kuala Lumpur (Malaysia) đến Bắc Kinh (Trung Quốc), với 239 người trên máy bay là một vụ tấn công khủng bố do một trong các phi công thực hiện - một giả thuyết đã bị các chuyên gia Australia bác bỏ.

"Đó là một vụ không tặc. Theo quan điểm của tôi, đó là một hành động khủng bố" - ông Godfrey nói. "Nhưng bạn biết đấy, tôi không phải là quan tòa. Và tôi chỉ có thể nói rằng đó là lý thuyết hiện tại của tôi. Tôi vẫn để ngỏ nếu các nhà chức trách muốn tiết lộ thêm thông tin mà họ có thể có".

Năm 2018, Công ty Ocean Infinity (Mỹ) đã mở cuộc tìm kiếm trong phạm vi 112.000km2 trong khoảng thời gian 3 tháng, nhưng không tìm thấy máy bay MH370. Địa điểm mới được nêu trong báo cáo của ông Godfrey cách nơi Ocean Infinity từng tìm kiếm khoảng 28km.
VIETBF Diễn Đàn Hay Nhất Của Người Việt Nam

HOT NEWS 24h

HOT 3 Days

NEWS 3 Days

HOT 7 Days

NEWS 7 Days

HOME

Breaking News

VietOversea

World News

Business News

Car News

Computer News

Game News

USA News

Mobile News

Music News

Movies News

History

Thơ Ca

Sport News

Stranger Stories

Comedy Stories

Cooking Chat

Nice Pictures

Fashion

School

Travelling

Funny Videos

Canada Tin Hay

USA Tin Hay

VietBF Homepage Autoscroll

VietBF Video Autoscroll Portal

Home Classic

Home Classic Master Page


vuitoichat
R11 Tuyệt Thế Thiên Hạ
Release: 12-01-2021
Reputation: 370312


Profile:
Join Date: Jan 2008
Posts: 148,436
Last Update: None Rating: None
Attached Thumbnails
Click image for larger version

Name:	1.jpg
Views:	0
Size:	59.7 KB
ID:	1936981   Click image for larger version

Name:	2.png
Views:	0
Size:	106.6 KB
ID:	1936982  
Attached Files
File Type: webp 1.webp (73.7 KB, 0 Downloads)
File Type: webp 2.webp (23.3 KB, 0 Downloads)
vuitoichat_is_offline
Thanks: 11
Thanked 14,070 Times in 11,233 Posts
Mentioned: 3 Post(s)
Tagged: 1 Thread(s)
Quoted: 44 Post(s)
Rep Power: 184
vuitoichat Reputation Uy Tín Level 10vuitoichat Reputation Uy Tín Level 10vuitoichat Reputation Uy Tín Level 10vuitoichat Reputation Uy Tín Level 10vuitoichat Reputation Uy Tín Level 10
vuitoichat Reputation Uy Tín Level 10vuitoichat Reputation Uy Tín Level 10vuitoichat Reputation Uy Tín Level 10vuitoichat Reputation Uy Tín Level 10
 
User Tag List



 
Lên đầu Xuống dưới Lên 3000px Xuống 3000px

iPad Videos Portal Autoscroll

VietBF Music Portal Autoscroll

iPad News Portal Autoscroll

VietBF Homepage Autoscroll

VietBF Video Autoscroll Portal

USA News Autoscroll Portall

VietBF WORLD Autoscroll Portal

Home Classic

Super Widescreen

Tin nóng nhất 24h qua

Tin nóng nhất 3 ngày qua

Tin nóng nhất 7 ngày qua

Tin nóng nhất 30 ngày qua

Albums

Total Videos Online
Lên đầu Xuống dưới Lên 3000px Xuống 3000px

Tranh luận sôi nổi nhất 7 ngày qua

Tranh luận sôi nổi nhất 14 ngày qua

Tranh luận sôi nổi nhất 30 ngày qua

10.000 Tin mới nhất

Tin tức Hoa Kỳ

Tin tức Công nghệ
Lên đầu Xuống dưới Lên 3000px Xuống 3000px

Super News

School Cooking Traveling Portal

Enter Portal

Series Shows and Movies Online

Home Classic Master Page

Donation Ủng hộ $3 cho VietBF
Lên đầu Xuống dưới Lên 3000px Xuống 3000px
Diễn Đàn Người Việt Hải Ngoại. Tự do ngôn luận, an toàn và uy tín. Vì một tương lai tươi đẹp cho các thế hệ Việt Nam hãy ghé thăm chúng tôi, hãy tâm sự với chúng tôi mỗi ngày, mỗi giờ và mỗi giây phút có thể. VietBF.Com Xin cám ơn các bạn, chúc tất cả các bạn vui vẻ và gặp nhiều may mắn.
Welcome to Vietnamese American Community, Vietnamese European, Canadian, Australian Forum, Vietnamese Overseas Forum. Freedom of speech, safety and prestige. For a beautiful future for Vietnamese generations, please visit us, talk to us every day, every hour and every moment possible. VietBF.Com Thank you all and good luck.

Lên đầu Xuống dưới Lên 3000px Xuống 3000px

All times are GMT. The time now is 05:54.
VietBF - Vietnamese Best Forum Copyright ©2005 - 2025
User Alert System provided by Advanced User Tagging (Pro) - vBulletin Mods & Addons Copyright © 2025 DragonByte Technologies Ltd.
Log Out Unregistered

Page generated in 0.10358 seconds with 13 queries